Topan Hagupit Mendekat, Filipina Bunyikan Sinyal Badai

 LAPORAN: <a href='https://rmol.id/about/amelia-fitriani-1'>AMELIA FITRIANI</a>
LAPORAN: AMELIA FITRIANI
  • Jumat, 05 Desember 2014, 10:53 WIB
Topan Hagupit Mendekat, Filipina Bunyikan Sinyal Badai
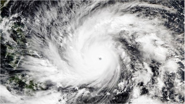
ilustrasi topan hagupit/net
rmol news logo Sinyal akan datangnya topan Hagupit telah dibunyikan di lebih dari 34 daerah di Filipina hingga hari ini (Jumat, 5/12).

Dini hari tadi, Badan Layanan Atmosfer, Geofisika, dan Astronomi Filipina (PAGASA) mencatat pusat topan yang dikenal dalam bahasa lokal dengan nama Ruby itu berada 500 kilometer di sebelah timur Borongan, Samar Timur.

PAGASA memperkirakan, topan tersebut akan membawa curah hujan intensif dalam diameter 700 kilometer.

Topan tersebut, seperti dikabarkan BBC, memiliki kekuatan hembusan hingga 250 kilometer per jam dan diperkirakan akan mencapai daratan Filipina esok hari (Sabtu, 6/12).

Puluhan ribu orang terutama yang berada di daerah pantai telah mengungsi di tempat penampungan sementara.

Sejumlah sekolah serta kantor pemerintah juga telah ditutup. Bukan hanya itu, antrian panjang di toko-toko dan stasiun pengisian bahan bakar minyak juga terjadi.

Kendati tidak sebesar Topain Haiyan yang memporakporandakan sebagian Filipina akhir tahun lalu, namun pemerintah Filipina telah memperingatkan, badai akan bisa membawa hujan lebat serta resiko badai dan tanah longsor.

Ahli meteorologi mengatakan ada kemungkinan Hagupit bisa membelok ke utara menuju Jepang dan tidak melintasi Filipina. [mel]

Temukan berita-berita hangat terpercaya dari Kantor Berita Politik RMOL di Google News.
Untuk mengikuti silakan klik tanda bintang.

FOLLOW US

ARTIKEL LAINNYA